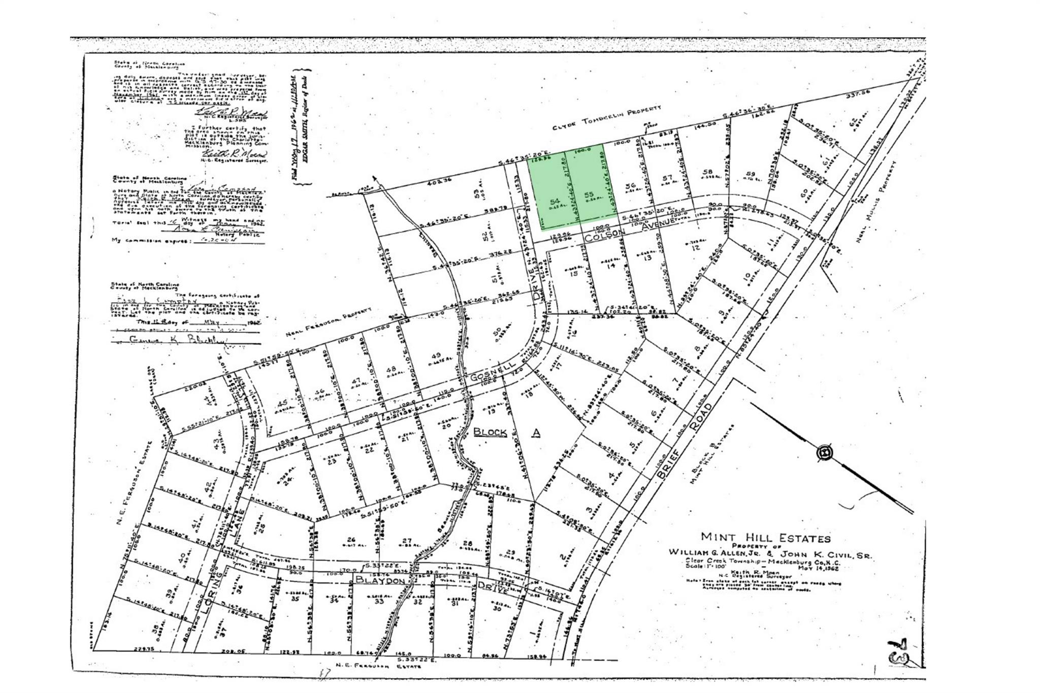
8930 Colson Avenue 54 + 55Charlotte, NC 28227




NEARLY 1 ACRE WOODED LOT IN CHARLOTTE WITH ROAD FRONTAGE NO HOA PRIVATE SETTING Discover a rare opportunity to own nearly 1 acre in an established neighborhood in Charlotte. Located at 8930 Colson Ave, this 0.9-acre wooded lot offers a private setting with approximately 229 feet of road frontage and flat topography, making it an ideal location for a custom home. This property consists of two original lots (Lots 54 & 55 of Mint Hill Estates) combined into one parcel, providing added flexibility in layout and design. The lot is wooded, offering natural privacy and a peaceful setting while still being conveniently located near city amenities. Zoned residential with no HOA, this property allows for a single-family home and typical residential accessory structures. There are deed restrictions in place requiring residential use only and limiting the property to one single-family dwelling, helping preserve the character of the neighborhood. No public water is available, and the property will require a private well and engineered septic system. A prior septic permit denial from 2008 is available, indicating that a modern engineered septic system will be required for development. Buyers are encouraged to conduct their own soil and site evaluations. The property is not located in a flood zone and contains no mapped wetlands, offering a cleaner development path compared to many rural lots. Enjoy a balance of privacy and accessibility with easy access to Mint Hill, Matthews, and Uptown Charlotte. This location provides convenient access to shopping, dining, and major roadways while still offering a quiet residential environment. If you are looking for a spacious homesite in a growing Charlotte market with no HOA and strong long-term potential, this property is worth a closer look.
| 5 hours ago | Listing first seen on site | |
| 5 hours ago | Listing updated with changes from the MLS® |
Listings courtesy of Canopy MLS as distributed by MLS GRID. Based on information submitted to the MLS GRID as of {last_incremented_at}. All data is obtained from various sources and may not have been verified by broker or MLS GRID. Supplied Open House Information is subject to change without notice. All information should be independently reviewed and verified for accuracy. Properties may or may not be listed by the office/agent presenting the information. Some IDX listings have been excluded from this website. Properties displayed may be listed or sold by various participants in the MLS. ©2026 Canopy MLS.
The Digital Millennium Copyright Act of 1998, 17 U.S.C. § 512 (the “DMCA”) provides recourse for copyright owners who believe that material appearing on the Internet infringes their rights under U.S. copyright law. If you believe in good faith that any content or material made available in connection with our website or services infringes your copyright, you (or your agent) may send us a notice requesting that the content or material be removed, or access to it blocked. Notices must be sent in writing by email to [email protected]. “The DMCA requires that your notice of alleged copyright infringement include the following information: (1) description of the copyrighted work that is the subject of claimed infringement; (2) description of the alleged infringing content and information sufficient to permit us to locate the content; (3) contact information for you, including your address, telephone number and email address; (4) a statement by you that you have a good faith belief that the content in the manner complained of is not authorized by the copyright owner, or its agent, or by the operation of any law; (5) a statement by you, signed under penalty of perjury, that the information in the notification is accurate and that you have the authority to enforce the copyrights that are claimed to be infringed; and (6) a physical or electronic signature of the copyright owner or a person authorized to act on the copyright owner’s behalf. Failure to include all of the above information may result in the delay of the processing of your complaint.
Last checked - 2026-04-07 10:17 AM UTC


Did you know? You can invite friends and family to your search. They can join your search, rate and discuss listings with you.