00002 Ray Hill Road 2Mills River, NC 28759




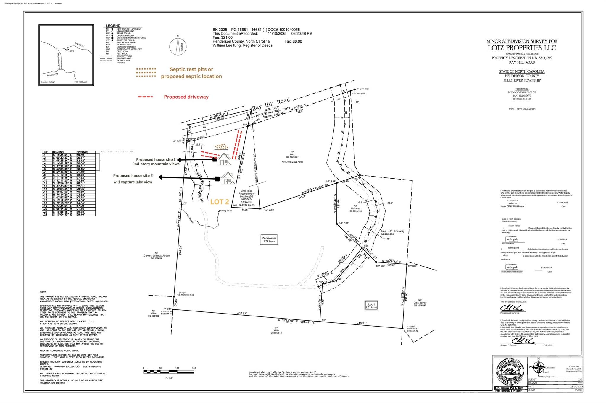
Build your dream home on this beautiful parcel offering nearly 200 feet of road frontage on Ray Hill Road and a head start on the building process. Much of the groundwork has already been completed, including a recent survey, a soil scientist–prepared septic permit for a 3-bedroom home, and useable site plans, allowing you to move forward with confidence. The property features a road already cut in and multiple buildable areas with flat and gently sloping terrain— actually buildable and actually a gentle slop — the kind of lot that’s actually usable without the extreme site work many mountain properties require. Depending on your home design, you may enjoy views of the neighboring pond and surrounding mountains, creating a peaceful and scenic setting. Conveniently located just 15 minutes to Hendersonville, 20 minutes to Brevard, and 30 minutes to Asheville, this property offers the perfect balance of privacy and accessibility. Placed in the desirable West,Rugby,Mills River school district! Restrictions are light and flexible (1,000 sq. ft. minimum home size, chickens allowed—no roosters), giving you freedom to create the property you want without the tight constraints of an HOA. For a closer look at the homesite, septic layout, and lot lines, be sure to view the video tour. Use 227 Ray Hill Road for general GPS guidance, and we recommend using LandGlide or similar alongside the new survey when visiting the property. Please contact agent before walking the property. There's another 1-acre parcel nearby available: MLS: 4354246
| 10 hours ago | Listing first seen on site | |
| 10 hours ago | Listing updated with changes from the MLS® |
Listings courtesy of Canopy MLS as distributed by MLS GRID. Based on information submitted to the MLS GRID as of {last_incremented_at}. All data is obtained from various sources and may not have been verified by broker or MLS GRID. Supplied Open House Information is subject to change without notice. All information should be independently reviewed and verified for accuracy. Properties may or may not be listed by the office/agent presenting the information. Some IDX listings have been excluded from this website. Properties displayed may be listed or sold by various participants in the MLS. ©2026 Canopy MLS.
The Digital Millennium Copyright Act of 1998, 17 U.S.C. § 512 (the “DMCA”) provides recourse for copyright owners who believe that material appearing on the Internet infringes their rights under U.S. copyright law. If you believe in good faith that any content or material made available in connection with our website or services infringes your copyright, you (or your agent) may send us a notice requesting that the content or material be removed, or access to it blocked. Notices must be sent in writing by email to [email protected]. “The DMCA requires that your notice of alleged copyright infringement include the following information: (1) description of the copyrighted work that is the subject of claimed infringement; (2) description of the alleged infringing content and information sufficient to permit us to locate the content; (3) contact information for you, including your address, telephone number and email address; (4) a statement by you that you have a good faith belief that the content in the manner complained of is not authorized by the copyright owner, or its agent, or by the operation of any law; (5) a statement by you, signed under penalty of perjury, that the information in the notification is accurate and that you have the authority to enforce the copyrights that are claimed to be infringed; and (6) a physical or electronic signature of the copyright owner or a person authorized to act on the copyright owner’s behalf. Failure to include all of the above information may result in the delay of the processing of your complaint.
Last checked - 2026-03-09 11:34 PM UTC


Did you know? You can invite friends and family to your search. They can join your search, rate and discuss listings with you.